郑州港区地铁规划图最新(郑州港区七大片区46条道路规划)
郑州港区地铁规划图最新(郑州港区七大片区46条道路规划)
交通兴,则百业兴,城市拓展,离不开便捷通达的立体路网,对郑州航空港区来说更是如此。进入2020年以来,港区在交通规划方面再次发力。
1月初至今,已经接连发布46条道路规划,共计达到57059.459米,涉及到港区多个片区。此外,规划区域内277平方公里范围的次干路、支路458条道路名称已通过专家论证,向社会公示征求意见。
可以预见的是,航空港区交通将迎来大发展!

◎七大片区大致位置标示
空港核心区
枣园路(滨河西路-灵枣路)道路工程
建设规模:781.09米

空港片区

◎空港片区规划道路大致位置
宇航路(凌风街-大寨路)道路工程
建设规模:1717.265米


迎宾大道(机场高速现状收费站-航空路)道路工程
建设规模:1658.26米

凌寒街(鄱阳湖路-桥航路)道路工程
建设规模:806.32米


灵枣路(枣林路-梁州大道)道路工程
建设规模:1943.7米


飞航路(华夏大道-滨河西路)道路工程
建设规模:2285.383米

园博园片区

◎园博园片区规划道路大致位置(点击查看大图)
园博园西一路(祥里路—园博园西一街)道路工程
建设规模:481.18米


园博园西一街(滨河东路—祥里路)道路工程
建设规模:842.228米


园博园东七街(思存路—和睦路)道路工程
建设规模:592.408米


幸安西路(园博园西一街-梅河路)道路工程
建设规模:432.89米


祥里路(思存路—苑陵路)道路工程
建设规模:1440.958米


祥里路(滨河东路—梅河路)道路工程
建设规模:1633.394米

邻里东路(飞霞街—园博园东八街)道路工程
建设规模:342.5米

园博园东五街(苑陵路-和睦路)道路工程
建设规模:1747.07米

幸安西路(梅河路-祥里路)道路工程
建设规模:2618.52米

孙武路(仓储四路-商登高速)道路工程
建设规模:3535.4米


邻里西路(仙霞街-祥里路)道路工程
建设规模:1170.38米

街坊路(园博东路-孙武路)道路工程
建设规模:294.012米

和睦路(思存路-荆州路)道路工程
建设规模:2624.69米

滨河东路(仓储四路-苑陵路)道路工程
建设规模:2125.557米

双鹤湖片区

◎双鹤湖片区规划道路大致位置(点击查看大图)
双鹤三街(工业一路—志洋路)道路工程
建设规模:1717.39米


工业四路(梅河路—双鹤四街)道路工程
建设规模:540.41米

工业三街(黄海路-工业三路)道路工程
建设规模:536.93米

工业二路(双鹤三街—雍州路)道路工程
建设规模:647米

孙武路(公园北一路—商登高速)道路工程
建设规模:3283.56米

双鹤一街(鹤首北路—东海路)道路工程
建设规模:1229.79米

双鹤五街(公园南一路—公园北一路)道路工程
建设规模:614.711米

鹤首外环路(双鹤五街-双鹤五街)道路工程
建设规模:2061.855米

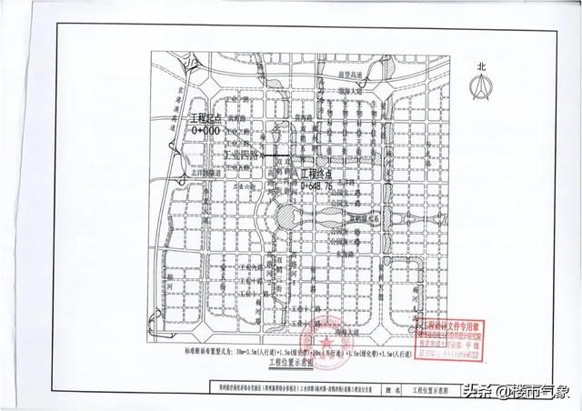
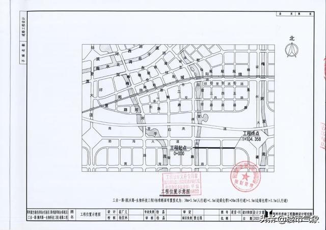
工业一路(雍州路-生物科技三街)道路工程
建设规模:1107.948米

工业十一路(双鹤五街-生物科技二街)道路工程
建设规模:967.24米

工业三路(双鹤四街-工业一街)道路工程
建设规模:2427.35米

工业七路(工业一街-华夏大道)道路工程
建设规模:897.799米

领事馆片区

◎领事馆片区规划道路大致位置
领事馆南二路(领事馆南六街—荆州路)道路工程
建设规模:329.135米

领事馆南八街(鄱阳湖路—大寨路)道路工程
建设规模:831.745米

领事馆北八路(领事馆北二街—马陵路)道路工程
建设规模:501米

临安路(鄱阳湖路—大寨路)道路工程
建设规模:879.332米

国泰路(领事馆北一路—领事馆北五路)道路工程
建设规模:411.345米

领事馆片区以北
口岸二路(口岸五街—前程东路)道路工程
建设规模:632.411米

会展物流片区

◎会展物流片区规划道路大致位置
物流六路(滨河东路-冀州路)道路工程
建设规模:1095.505米

物流二街(始祖路-苏秦路)道路工程
建设规模:1454.858米

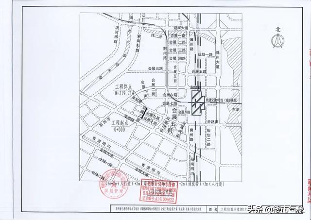
会展五街(会展七路—会展十路)道路工程
建设规模:666.91米

会展三街(会展十路—辛赵路)道路工程
建设规模:262.77米

保航六街(焦城路-保航一路)道路工程
建设规模:250.8米


古城片区
宜之街(遵大路-郐城路)道路工程
建设规模:806.32米

洵美路(华夏大道-雍州路)道路工程
建设规模:1546.757米

佩玉路(华夏大道-梅河路)道路工程
建设规模:2285.383米

除以上规划道路以外,航空港区还发布了规划区域内277平方公里范围的次干路、支路458条道路名称。据悉,这些道路已经通过专家论证,一起来看看都有哪些名字吧。
从命名含义中可以看出,此次港区规划命名中:
第一组团(主要为领事馆片区)充分体现了中原传统文化,囊括了中原地市级古名称、重要思想家、核心文化、历史典故等等,例如:
“同”、“和”体现的是中原核心文化,如同德路、和美街;“德”、“鼎”体现的是黄帝文化,如九德路、金鼎路;中原历史典故,如盘江路、东来路;中原地级市古名称,如申城街道(信阳)、魏都街(许昌)等。
第二组团(会展物流片区)以“飞、天、广、通、展”等,表达国际会展中心的功能性及特点;
第三组团(园博园组团)以体现园博景致为主,辅以带有历史文化色彩的命名;
第四组团(双鹤湖片区)以当地出土的莲鹤方壶为命名思路,“莲、鹤”为主要命名词汇。
附全部名单↓





结语
据此前规划显示,除了十余条快速路和快捷路,港区还会建设二十余条主干道,与“六横四纵半环”的快速路系统、“两横一纵半环”快捷路系统,共同构成密如蛛网的公路交通体系,拉近与郑州中心城区的物理距离,同时也为家住港区的广大市民提供一个便捷高效快速的出行环境。你期待吗?
据官方信息综合整理,转载请注明来源于楼市气象
,
-
- 郑州封控区域规则(郑州发布105号通告)
-
2023-08-20 08:30:14
-
- 儿子手术母亲买三张火车票被无座男子指责霸座?官方:可超座购票
-
2023-08-19 02:30:13
-
- 放假通知!连休 8 天,但是……
-
2023-08-19 02:27:57
-
- 马航找到了是真的吗(马航的语言到底是真是假)
-
2023-08-19 02:25:41
-
- 突破性成果!以色列研究人员开发出微型人体心脏模型
-
2023-08-19 02:23:25
-
- 鲁 DK360B,你做的好事藏不住了!
-
2023-08-19 02:21:09
-
- 太恶劣!男子恶意拨打 110 报警电话 119 次被行拘
-
2023-08-19 02:18:52
-
- 警察酒后辱骂女子并吐口水,警方通报!
-
2023-08-19 02:16:36
-
- 荣耀 X5 Plus 再通过认证 配联发科 Helio G36 不到千元?
-
2023-08-19 02:14:20
-
- 国产手机厂商内卷新高地“ AI 大模型”,最新入局的指标已逼近 GPT-4
-
2023-08-19 02:12:04
-
- “您已偏离路线……”酒驾男闯卡逃离,被导航带回现场
-
2023-08-19 02:09:47
-
- 厦门翔安马巷规划最新消息(保护指导意见出炉)
-
2023-08-18 11:16:30
-
- 朝鲜韩国战争原因(朝鲜与韩国曾是一国)
-
2023-08-18 11:14:14
-
- 青岛即墨慈铭体检中心(慈铭体检青岛即墨分院)
-
2023-08-18 11:11:58
-
- 美国破产失败案例(北美两大品牌申请破产)
-
2023-08-18 11:09:42
-
- 青岛各大集赶集日期(青岛赶集时间大全)
-
2023-08-18 11:07:26
-
- 南开一教授自嘲式简历获好评(南开一教授火了)
-
2023-08-18 11:05:11
-
- 东莞新动能报名条件(2022年东莞圆梦计划哪里报名)
-
2023-08-18 11:02:55
-
- 上海市的十大名菜(去上海必点的9道沪菜)
-
2023-08-18 11:00:39
-
- 南京老房子装修靠谱公司(南京旧房装修哪家最好)
-
2023-08-18 10:58:23



申通快递收费标准价格表2022(申通快递费用查询)
日本第一男吹神,拓也哥(男人在他口中坚持不过3秒)